來源:http://m.ycxhjx.com
隨著經濟的發展,全國私家車的數量急速增長,而城市停車位的缺乏,已經到了一個必須解決的地步。
美國私家車的密度遠遠大于中國,通常不會有中國的停車問題,原因是美國任何公共建筑都會提供足夠的停車位,且以地上立體停車位為主。
美國的立體停車場的市場中有85%是混凝土裝配式立體停車場,充分地應用預應力技術加上裝飾外墻,完全表現出混凝土的力和美,成為美國一個獨特的建筑體系。
預制混凝土應用與實踐第66篇帶來了一系列立體停車場案例。

關于作者
宗德林,美國PCI資深會員。1984年畢業于美國北卡州立大學研究所,取得碩士學位,現任美國SP全球服務公司結構經理兼任機器及產品開發中心主任。

立體停車埸案例
St.Charles(圖1至3) 是在芝加哥西邊一個小時車程的小鎮。人囗只有三萬多,是一個典型的美國中西部小鎮,市中心停車問題日益嚴重。

圖一

圖二

圖三
停車場是必需增建的建筑,但保持傳統特色的外觀至為重要。所以能提供裝飾混凝土外觀的預制預應力立體停車埸(圖4至10)又成了第一選擇,運用了結構構件薄磚反打一次成型技術,提供了美觀又耐用的結構。

圖四

圖五

圖六

圖七

圖八

圖九

圖十
圖11至13是停車埸內部利用雙T提供寬敞有效率的停車車位。

圖十一
圖十二

圖十三
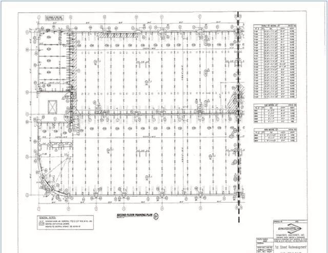
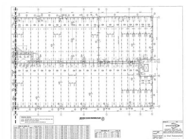
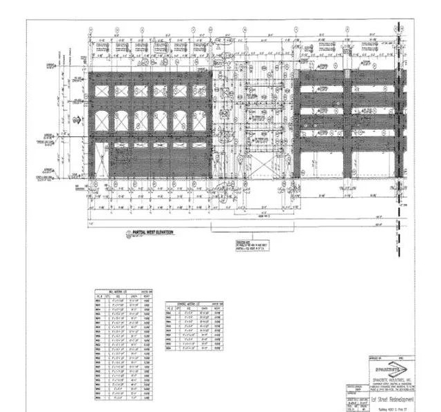
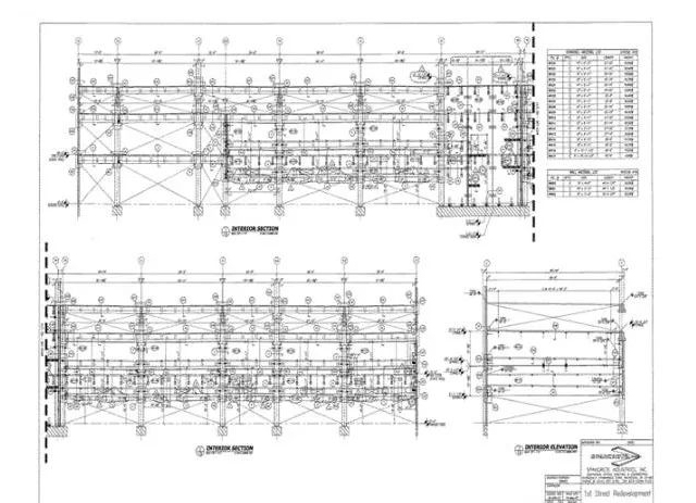
圖14至22是SP公司提供的施工(36張)及細節圖(430張)詳細的標明了,所有結構及外裝飾細節。從接到工作到完成施工圖一共享了六個星期,十二個星期開始吊裝,全預制結構在美國的快速施工是另一特色。

圖十四

圖十五

圖十六

圖十七

圖十八

圖十九

圖二十

圖二十一

圖二十二
圖23至28是部份施工的照片。仍可以看到干連接及剪力墻-梁柱,無支撐體系的施工優勢。預應力雙T,梁及墻的使用更體現出經濟且有效率的預制結構體系。

圖二十三

圖二十四

圖二十五

圖二十六

圖二十七

圖二十八

《預制混凝土應用及實踐》為宗德林先生原創的系列文章,主要介紹美國及全球各類預制混凝土結構,本期為第六十六期
查看原文